Description
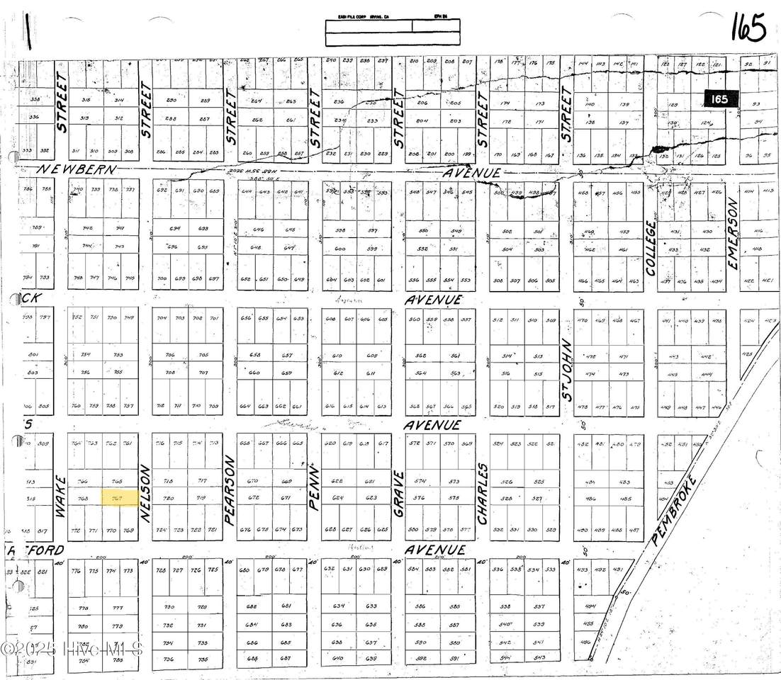
Opportunity awaits in the heart of historic Pembroke. Two adjacent residential lots2204 and 2206 Nelson Streetoffer a chance to own land in one of New Bern's most culturally significant neighborhoods. Pembroke traces its roots to the city's early expansion and has long been a symbol of community strength, heritage, and perseverance. The neighborhood's grid-like layout reflects early 20th-century Swiss planning, while the streets themselves hold generations of untold stories. For the buyer with vision, these lots represent more than a real estate investment; they're a chance to contribute to the ongoing narrative of a place that matters. Whether your goal is thoughtful infill housing, a personal residence, or long-term holding, this location offers meaningful potential. The community comes together at the Pembroke Community Center, which hosts events for the neighborhood and larger New Bern community. Access to city utilities, close proximity to downtown New Bern, and a strong sense of place make these properties both practical and powerful. Be part of the next chapter in Pembrokewhere honoring the past and investing in the future go hand in hand.
-
0BEDS
-
0.12ACRES
-
0BATHS
-
01/2 BATHS
School Information
Description
Opportunity awaits in the heart of historic Pembroke. Two adjacent residential lots2204 and 2206 Nelson Streetoffer a chance to own land in one of New Bern's most culturally significant neighborhoods. Pembroke traces its roots to the city's early expansion and has long been a symbol of community strength, heritage, and perseverance. The neighborhood's grid-like layout reflects early 20th-century Swiss planning, while the streets themselves hold generations of untold stories. For the buyer with vision, these lots represent more than a real estate investment; they're a chance to contribute to the ongoing narrative of a place that matters. Whether your goal is thoughtful infill housing, a personal residence, or long-term holding, this location offers meaningful potential. The community comes together at the Pembroke Community Center, which hosts events for the neighborhood and larger New Bern community. Access to city utilities, close proximity to downtown New Bern, and a strong sense of place make these properties both practical and powerful. Be part of the next chapter in Pembrokewhere honoring the past and investing in the future go hand in hand.
© 2025 NCRMLS. All rights reserved. North Carolina Regional Multiple Listing Service, (NCRMLS), provides content displayed here (“provided content”) on an “as is” basis and makes no representations or warranties regarding the provided content, including, but not limited to those of non-infringement, timeliness, accuracy, or completeness. Individuals and companies using information presented are responsible for verification and validation of information they utilize and present to their customers and clients. NCRMLS will not be liable for any damage or loss resulting from use of the provided content or the products available through Portals, IDX, VOW, and/or Syndication. Recipients of this information shall not resell, redistribute, reproduce, modify, or otherwise copy any portion thereof without the expressed written consent of NCRMLS. Data last updated 2025-11-11T11:35:10.227.