Description
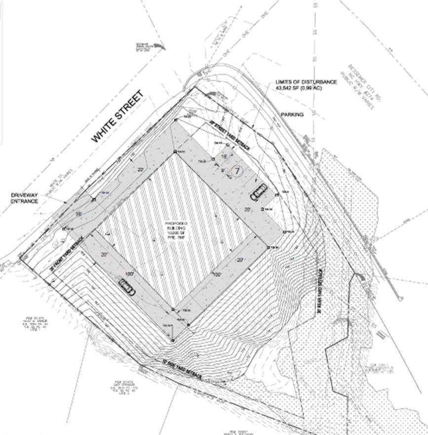
New topo survey uploaded with building pad. See attachments for concept plan for self storage, 18 unit apartment, or 11 unit townhome. Approximately 137x112 flat spot inside the setbacks. Large lot on main artery with 10,000+ average daily car count per NCDOT. Possible uses are Multi family, ABC Store, Self Storage, Check cashing, Firing range, Retail, Restaurant, Funeral Home, Laundromat, Medical, ETC. See attachments for full list of uses by right and all uses with supplemental regulations. 76,000 residents within 5 miles, Median household income is $119,520. Owner is realtor.
-
0BEDS
-
1.24ACRES
-
0BATHS
-
01/2 BATHS
School Information
Offered by LKI Realty LLC: 704-619-3302. Copyright 2025 Canopy MLS. All rights reserved.Description
New topo survey uploaded with building pad. See attachments for concept plan for self storage, 18 unit apartment, or 11 unit townhome. Approximately 137x112 flat spot inside the setbacks. Large lot on main artery with 10,000+ average daily car count per NCDOT. Possible uses are Multi family, ABC Store, Self Storage, Check cashing, Firing range, Retail, Restaurant, Funeral Home, Laundromat, Medical, ETC. See attachments for full list of uses by right and all uses with supplemental regulations. 76,000 residents within 5 miles, Median household income is $119,520. Owner is realtor.
Related Properties
Based on information submitted to the MLS GRID as of 2025-11-16T06:34:29.333 UTC. All data is obtained from various sources and may not have been verified by broker or MLS GRID. Supplied Open House Information is subject to change without notice. All information should be independently reviewed and verified for accuracy. Properties may or may not be listed by the office/agent presenting the information.The data relating to real estate on this Web site derive in part from the Canopy MLS IDX program. Brokers make an effort to deliver accurate information, but buyers should independently verify any information on which they will rely in a transaction. All properties are subject to prior sale, change or withdrawal. Neither Carolina Coastal Group nor any listing broker shall be responsible for any typographical errors, misinformation, or misprints, and they shall be held totally harmless from any damages arising from reliance upon this data. This data is provided exclusively for consumers' personal, non-commercial use and may not be used for any purpose other than to identify prospective properties they may be interested in purchasing. © 2025 Canopy MLS.
“Listings courtesy of Canopy MLS as distributed by MLS GRID
Some IDX listings have been excluded from this website.
Digital Millennium Copyright Act
